35 Jeury Court, Cowes, VIC 3922
Like to shortlist • Hide to remove • Inspect or enquire when ready
35 Jeury Court, Cowes, VIC 3922
Like to shortlist • Hide to remove • Inspect or enquire when ready
35 Jeury Court, Cowes, VIC 3922• Land
35 Jeury Court, Cowes, VIC 3922
For SalePRICE RANGE: $800,000 - $1,050,000

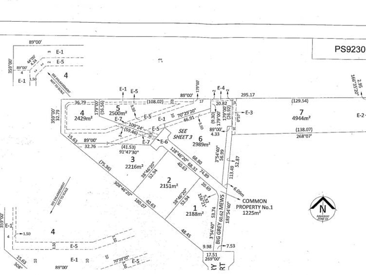
MULTIPLE BLOCKS RANGING FROM 2188m2 - 2989m2
Phone enquiries - please call 1300 594 794 and quote property ID 36841.
Build your dream home:
Only 6 Lots left.Very rare estate with private setting within 3klm of Cowes
township and beach.With all lots above 1/2 acre there is no other estate same on Phillip island .
Early release of subdivision land currently under civil construction.
Release Around December 2025.Terms 10% deposit held in trust fund with balance payment on titled
release.
Lot 1: 2188m2 price $1.05 million.
Lot 2: 2151m2 price $1.05 million.
Lot 3: 2216m2 price $900k.
Lot 4: 2429m2 price $800k.
Lot 5: 2500m2 price $800k.
Lot 6: 2989m2 price $1.05 million.
Lot 7: SOLD
Private sale.
DISCLAIMER While proudly assisting home owners to sell since 1999, No Agent Property takes every care to verify the accuracy of the details in this advertisement, but the correctness cannot be guaranteed.
Ask a Question
We'll send your question to the agent to get a response.
Couldn't see your question listed? to ask anything else.
Location & Transport
Your Places
Public Transport
No public transport options available within 50km.
Lifestyle
No lifestyle amenities available within reasonable distance.
Land & Building Details
Property Type
Land
Land Size
2,989m²
Similar Properties For Sale Nearby
Ask a Question
We'll send your question to the agent to get a response.
Couldn't see your question listed? to ask anything else.
Inspections
No scheduled inspections at this time